Projektiertes Baugrundstück in Rethmar – Positiver Bauvorbescheid liegt vor!

Kaufpreis 224.229 €
Kaufpreis 224.229 €
Wohnfläche ca. 188,00 m²

Objektbeschreibung

Zum Verkauf steht ein attraktives, ca. 740 m² großes Baugrundstück in Sehnde-Rethmar. Das Besondere: Hier bauen Sie nicht in einem kahlen Neubaugebiet „auf der grünen Wiese“, sondern in einem gewachsenen, liebevoll begrünten Wohngebiet. Das Grundstück liegt am Ende einer ruhigen Sackgasse (Backhausfeld), was ein Höchstmaß an Privatsphäre und Sicherheit garantiert.

Ein positiver Bauvorbescheid der Region Hannover vom 27.01.2026 liegt bereits vor. Damit genießen Sie volle Planungssicherheit für ein freistehendes Einzelhaus in 1,7-geschossiger Massivbauweise mit hochwertiger Klinkerfassade

Ort
31319 Sehnde
Wohnfläche
ca. 188,00 m²
Grundstücksfläche
ca. 740,00 m²
Anzahl Badezimmer
3
Kaufpreis
224.229 €
Provisionshinweis
Provisionsfrei
Bebaubar nach
§34 BauGB Nachbarschaft

Lage

Die idyllische Gemeinde Sehnde, Heimat für über 24.000 Einwohnerinnen und Einwohner verteilt auf 15 Ortsteile, zeichnet sich durch ihr junges Durchschnittsalter aus, was ihr den Ruf als familienfreundliche Stadt einbringt. Diese Auszeichnung verdankt sie einer attraktiven Wohnumgebung, die mit einer umfassenden Rundumversorgung aufwartet sowie einer gezielten Entwicklung, die sich ganz auf die Bedürfnisse von Familien ausrichtet. Ein reizvolles Freizeitangebot, das grüne Naherholungsgebiete und den idyllischen Mittellandkanal umfasst, trägt ebenfalls zu einem kontinuierlichen Bevölkerungswachstum bei.
Inmitten dieser bezaubernden Kulisse thront Rethmar, zweifellos einer der beliebtesten Ortsteile von Sehnde. Hier finden Sie nicht nur einen Kindergarten und eine Grundschule für die jüngsten Bewohner, sondern auch den historischen Gutshof, der mit einem erstklassigen Restaurant samt Bowlingbahn aufwartet. Zu jeder Jahreszeit locken verschiedene Veranstaltungen und Feste Einheimische und Besucher gleichermaßen an. Sportbegeisterte finden in Rethmar zudem einen gut ausgestatteten Sportverein sowie einen Golfplatz, die das Freizeitangebot des Ortes vervollständigen.
Die Stadt Sehnde selbst bietet eine ausgezeichnete Infrastruktur mit Schulen, Ärzten, Restaurants und Einrichtungen des täglichen Bedarfs, die allesamt schnell erreichbar sind. Dank eines gut ausgebauten Verkehrsnetzes, bestehend aus der Bundesstraße B65, einem nahegelegenen Autobahnanschluss, dem S-Bahnhof in Sehnde und einem umfassenden Nahverkehrsnetz, sind kurze Wege in die Landeshauptstadt Hannover sowie in die Großstädte Hildesheim und Peine garantiert.
Insbesondere die Verbindung zur pulsierenden Innenstadt Hannovers ist herausragend: Die Buslinie 800 verkehrt im 15-Minuten-Takt und bringt Sie in weniger als einer Stunde direkt ins Zentrum. Auch der Sprinti und die Stadtbahnlinie S3 bieten eine bequeme Möglichkeit, die Messehauptstadt Hannover ohne Auto zu erreichen.
Rethmar zählt zweifellos zu den begehrtesten Wohnlagen der gesamten Region Hannover, ein Ort, der durch seine idyllische Lage, seine erstklassige Infrastruktur und sein breit gefächertes Freizeitangebot sowohl Familien als auch Einzelpersonen gleichermaßen anspricht.

Sie haben eine immobilie zu verkaufen?

Wir bewerten Ihr Immobilie schnell und kostenfrei!

Ausstattung

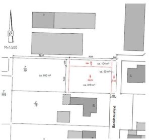
Grundstücksgröße: ca. 740 m² (Flurstück 7/19 Teilfläche).

Bebaubarkeit: Einzelhaus gemäß § 34 BauGB.

Maße: Zulässige Traufhöhe von 5,50 m und Firsthöhe bis zu 9,00 m.

Highlights: Großzügige Gartenfläche, geplante Garage/Carport und moderne Architektur mit Satteldach (35°-45°).

Ihr Partner

Frau Berkefeld, Emily-Sophia
Frau Berkefeld, Emily-Sophia
Mittelstraße 4
31319 Sehnde